






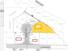
Build your Dream Home with one of the last lots of this size left in Lindon. Come see this .55-acre rectangular, 108" wide and 270' deep, flat lot in the heart of Lindon. The seller has confirmed that you can build a home with a walkout basement for mother in law or ADU. Located just 1.4 miles from the Murdock Canal Trail and nearby hiking trails, this lot is ideal for outdoor enthusiasts or those wanting to be near everything. All utilities are nearby and an $80,000 cash bond for improvements has already been paid to Lindon city, allowing you to break ground with little effort. With no HOA this property offers incredible flexibility for custom living or income potential. Even better-the home adjacent to this lot is also available for purchase, offering a rare opportunity for multi-generational living. This property comes with animal rights for the option of having horse property right in the heart of Lindon. Just minutes from the new Lindon Utah Temple and I-15, shopping, schools, and parks, this is one of the last great building opportunities left in Lindon. Boasting a mature apple and pear orchard in the back. Bring your own builder and create your dream home today.
433 N Locust Ave was listed on Jul 23rd, 2025 by RE/MAX Associates, a real estate brokerage. 801-365-3120 is the contact info for the listing brokerage contact assigned for this listing.
HighRoadUtah.com shows ALL available properties from the MLS in Utah (WFRMLS), including any property that is pending, under contract, accepting backup offers, or actively seeking buyers.