HighRoadUtah.com Home Page
Our Facebook PageOur Youtube PageOur Yelp Page
 Call us at (801) 599-8823
  Send an email

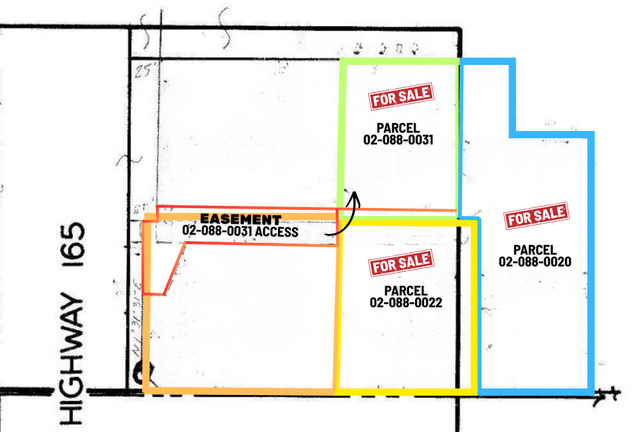
Pictures: 45 E 1200 S in Logan

$376,000   Available
View full details: MLS #2149475
Scroll up